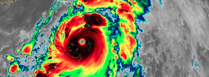
At least 4 dead in Taiwan following Typhoon Danas’ historic landfall
At least four people died after Typhoon Danas made landfall along Taiwan’s central western coast on July 6, 2025, causing widespread flooding and damage. It was the first typhoon to strike the region since 1986.

